Bluestem Court - Site 6, Baxter, MN 56425
For Sale $169,000.00
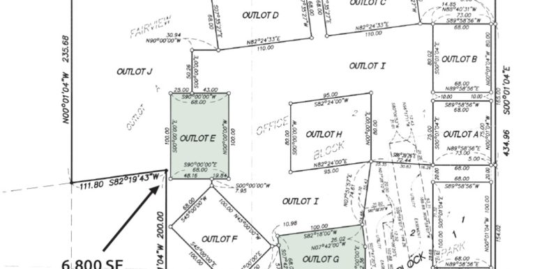
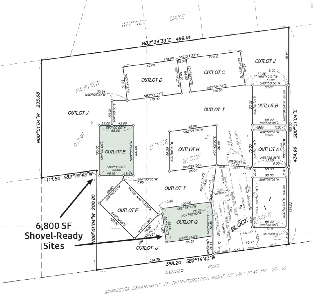
Fairview Office Park is a thriving business park with a natural and park-like setting providing a pleasing environment for workers and clients alike. Purchase a buildable site for your office building or lease space with a build-to-suit option. Each site is shovel-ready giving you an incredible cost savings with both time and money. Driveways, parking and landscaping are already in place within this conservation office park, along with water/sewer, power and fiber to each site.
- Purchase Price: $169,000.00
- Directions: From the Baxter Hwy 210/371 intersection - West on Hwy 210 - Right at the access to the Fairview Service Drive (near Crossings Inn & Suites) - West on Fairview Road - Right on Bluestem Court to property.
- Lot Size (Sq. Ft): 6
- Lot Size (Acres): 0.16
- Lot Dimensions: 100' x 68'
- Road Frontage: Along Fairview Road & Hwy 210
- Property Tax Year: 2025
- Annual Property Tax: $1,302.00
- Water: City Water to Each Lot
- Sewer: City Sewer to Each Lot
- Highspeed Internet: Yes
- Utilities Available: Power & Fiber to Each Site
- Parking Spaces: 110+ Existing Paved Parking Spaces
- Adjacent Tenants: Fairview Office Park Occupants: Syvantis Technologies, A Medical Office, Realty Group, Aveanna Home Health, Ellie Family Services, Farm Bureau Services, An Attorney Office, SEH Inc. and Ameriprise Financial
- Neighboring Businesses: Cosmetic & Family Dentistry, Baymont Inn, Lake Region Christian School, Stepping Stones Child Care, Home Depot, Midwest Machinery, Costco, Super Wal-Mart, Riverstone Professional Center, Northwoods Plaza, Dick’s Sporting Goods, TJ Maxx, PetSmart, Ulta Beauty, Hobby Lobby, Home Goods, Discount Tire, Cub Foods, Kohl’s, Fleet Farm, plus numerous others
- Traffic Counts: 13,770 (2023) - 25,080 (2023) on Hwy 210 and 19,593 (2023) - 27,810 (2023) on Hwy 371
- MLS #: 5263908
- CC File #: 437
- Zoning: OS - Office Service
- PID#: 40070519
- Legal Description: (Legacy PID 036160020010009) Lot 1 Block 2, Fairview Office Park. CIC #1088 Fairview Office Park (Common Element Parcels 036130010020009, 036150010030009 & 0361300090J0009 Declaration Document #729834) Subj to various Quiet Title Actions.



